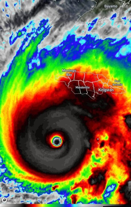
O furacão Melissa alcançou um nível de intensidade raramente visto no Atlântico, sendo classificado como Categoria 5 nesta segunda-feira, 27 de outubro. O sistema registra ventos sustentados de 175 mph (aproximadamente 282 km/h) e pressão atmosférica próxima de 900 milibares, valores que o colocam entre os furacões mais poderosos já observados nesta região e época do ano.
Um dado impressionante chama a atenção dos meteorologistas: a temperatura de -4,75 °C no olho do furacão, considerada a mais seca já observada na Terra. Essa condição indica uma estrutura extremamente organizada e estável, sugerindo que o sistema ainda pode ganhar força nas próximas horas, com ventos que podem chegar a 200 mph (mais de 320 km/h).
A borda do furacão já impacta a Jamaica, provocando chuvas intensas, ventos destrutivos, inundações costeiras e cortes de energia em várias regiões.
Especialistas destacam que o Melissa marca um ponto histórico na meteorologia moderna, não apenas pela sua potência, mas também pela velocidade e complexidade de sua evolução, com potencial para estabelecer novos recordes nas próximas horas.








